Văn hóa
Gắn kết đào tạo nhân lực chất lượng cao vùng Bắc Trung Bộ và duyên hải Trung Bộ
(Chinhphu.vn) - Chiều 15/11, Đại học Đà Nẵng tổ chức hội thảo gắn kết trong đào tạo nguồn nhân lực chất lượng cao cho các tỉnh thuộc vùng Bắc Trung Bộ và duyên hải Trung Bộ (Vùng).
TỔNG THUẬT: Thủ tướng Chính phủ gặp mặt các nhà giáo tiêu biểu
(Chinhphu.vn) – Vào 17h chiều nay, 15/11, Thủ tướng Phạm Minh Chính gặp mặt đại diện các nhà giáo, cán bộ quản lý giáo dục tiêu biểu trên toàn quốc nhân kỷ niệm ngày Nhà giáo Việt Nam 20/11.
Công nghệ là một trong những yếu tố then chốt để bảo vệ, phát triển rừng bền vững
(Chinhphu.vn) - Lâm nghiệp đã trở thành ngành kinh tế quan trọng với giá trị xuất khẩu đạt trên 13,2 tỷ USD, đóng góp trên 30% tổng giá trị xuất khẩu của toàn ngành nông nghiệp, đạt 5% tổng giá trị xuất khẩu của cả nước.
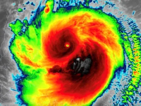
Bão Man-yi đang đà lên cấp cực đại, 2 cơn bão "lạ thường" nối đuôi khủng khiếp thế nào?
Dự báo bão Usagi chưa tan, bão Man-Yi với sức gió mạnh cấp 17 dự báo sẽ "nối đuôi" đi vào biển Đông. Đáng nói, đây là cơn bão có hướng di chuyển phức tạp diễn biến "lạ thường".
Trái tim người thầy... miền biên ải
(Chinhphu.vn) - Dù công tác trong hoàn cảnh vất vả, thiếu thốn đủ bề nhưng những người cô, người thầy ở các huyện miền núi vẫn luôn nỗ lực vượt qua hoàn cảnh để "cõng chữ lên non", với mục tiêu lớn nhất là vì học sinh thân yêu.
Miền Bắc sắp đón không khí lạnh mạnh, thời tiết xấu kèm mưa to "trắng trời"
Các tỉnh miền Bắc đang trải qua chuỗi ngày oi nóng, hanh khô kéo dài. Theo biểu đồ nhiệt từ cơ quan khí tượng, khả năng vài ngày tới không khí lạnh mạnh tràn về, tâm điểm nơi nào?
Hanoi Connection-Saigon Connection thúc đẩy nhanh tiến trình đào tạo ngoại ngữ tại Việt Nam
(Chinhphu.vn) - Nhượng quyền thương mại Hanoi Connection-Saigon Connection là một trong những hình thức kinh tế tạo ra nhiều trung tâm ngoại ngữ trên toàn quốc có chất lượng dịch vụ đào tạo chuyên nghiệp, bài bản, góp phần thúc đẩy xã hội phát triển và thuận lợi cho tiến trình hội nhập.
Mở cơ hội trao đổi, kết nối tri thức toàn cầu
(Chinhphu.vn) - Các nhà khoa học trong nước kỳ vọng sự trở lại của Tuần lễ Khoa học Công nghệ VinFuture 2024, với chuỗi hoạt động kết nối khoa học công nghệ, đặc biệt là “Chuỗi Đối thoại Khám phá tương lai VinFuture”, sẽ mang đến nhiều cơ hội để tiếp cận tri thức toàn cầu và hợp tác phát triển.
Công bố đề minh họa bài thi V-SAT để tuyển sinh đại học
(Chinhphu.vn) - Trung tâm Khảo thí quốc gia và Đánh giá chất lượng giáo dục (Cục Quản lý chất lượng, Bộ GD&ĐT) vừa công bố đề minh họa 8 bài thi đánh giá đầu vào đại học trên máy tính (V-SAT) năm 2025.
Hải Phòng: Hoàn thành dự án công viên 130 tỷ đồng trước Tết Nguyên đán
Dự kiến quận Hồng Bàng, Tp.Hải Phòng, sẽ hoàn thành và đưa Dự án công viên cây xanh nút giao Nam cầu Bính vào sử dụng trước dịp Tết Nguyên đán 2025.
Bình Thuận: Kiểm tra thực tế vị trí nhà ga Dự án đường sắt tốc độ cao trục Bắc - Nam
Dự án đầu tư xây dựng đường sắt tốc độ cao trên trục Bắc - Nam, đoạn qua địa bàn tỉnh Bình Thuận sau khi hoàn thành sẽ góp phần thúc đẩy phát triển kinh tế - xã hội của tỉnh.
Voọc đen quý hiếm bất ngờ xuất hiện, tấn công người dân đi đường
Một người đàn ông đang điều khiển xe máy trên đường thì bất ngờ bị một con voọc lao ra tấn công.
Nhiều xu hướng mới trong sử dụng thuốc BVTV an toàn cho cây trồng
(Chinhphu.vn) - Hiện nay, xu hướng của các thị trường nhập khẩu liên tục thay đổi mức kiểm soát dư lượng đối với một số hoạt chất. Để nông sản Việt Nam tiếp tục khẳng định được vị thế ở nhiều thị trường, việc quản lý, sử dụng thuốc bảo vệ thực vật (BVTV) trong thời gian tới cần có những thay đổi nhất định.
Bão Usagi giật cấp 12 áp sát Biển Đông rồi đột ngột đổi hướng, tâm điểm "quét" nơi nào?
Do ảnh hưởng của bão, vùng biển phía Đông Bắc của khu vực Bắc Biển Đông có gió mạnh cấp 8-9, vùng gần tâm bão đi qua cấp 10-11, giật cấp 14; sóng biển cao 3-5m, vùng gần tâm bão sóng cao 5-7m, biển động dữ dội.